






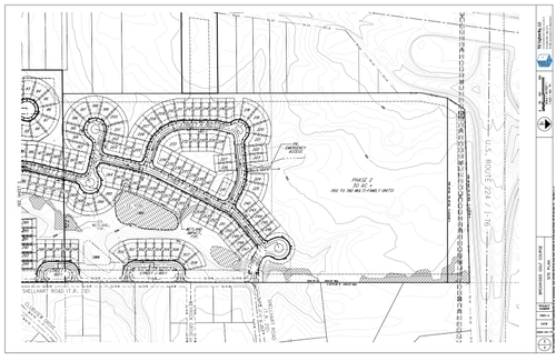
Brookside Greens is the former golf course located in Norton, Ohio known as Brookside Barberton Golf Club. 15 minutes west of Akron and 40 minutes south of Cleveland, the 140-acre Brookside Greens will be redeveloped into 308 single family homes and 180 apartments. Addison is responsible for the rezoning and approvals to develop the property along with a Tax Incremental Financing agreement with the City of Norton. Addison has agreed to sell all single family lots to Ryan Homes and the apartment land to Redwood Living.